Need Help? Submit a ticket to the Aggie Enterprise Help Desk.
Overview
You can run and analyze a portfolio-level report showing all PPM activity for an individual Faculty (PI), an individual Project Manager, an individual Project Number or a project-owning organization (Financial Department). This article describes how to run and review PPM activity reports. The description includes instructions for running reports on demand and scheduling reports to be generated at regular intervals. All reports are in the Excel format only and not in HTML.
Intended Audience for This Guide
- Post-award research administration staff who support PIs
- Staff in academic and administrative units who support faculty-managed resources, such as start-up, professional development funds and internal awards
- Staff in academic and administrative units who may use PPM Department Projects to track detailed fiscal activity that’s not supported by the Chart of Accounts
- Dean’s office/COO or Department leadership staff who may wish to run PPM reports
- Faculty members who want to run their own report
Oracle Roles Required to Use This Guide
UCD BI Consumer JR
Click here to skip to the video.
Steps
This section describes the following tasks:
- Opening the Portfolio Report Page
- Running the Report on Demand
- Scheduling the Report to Run at Regular Intervals
- Deleting, Pausing and Resuming, and Editing Scheduled Reports
- Reviewing the History of Reports Generated
- Viewing the Portfolio Report
Opening the Portfolio Report Page
You run and schedule reports in the UCD Faculty and Department Portfolio Report page. To open the page:
-
On the Aggie Enterprise Home page, click the Reporting Dashboard tile.
-
On the UCD Reporting Dashboard page that appears, click UCD Faculty and Department Portfolio Report.
The UCD Faculty and Department Portfolio Report page opens.
-
On the menu bar, choose Favorites > Add to Favorites to bookmark the page. You can use the bookmark to return to this page later in this article.
Running the Portfolio Report on Demand
You can run reports manually as needed. The procedure is for one-time report generation. If you want to produce the same report with updated data on a regular basis, see Scheduling the Report to Run at Regular Intervals.
To run reports on demand:
-
On the UCD Faculty and Department Portfolio Report page, select the report parameters:
-
Project Admin/ Project Manager
-
PI/Co-PI
-
Project Owning Organization
-
Parent Project Owning Organization (allows for Parent level searches)
- Project Number
You can search for the values to use for each parameter. To search for values of a parameter:
-
Click 🔽 next to the parameter name (for example, PI/Co-PI or Project Owning Org field).
-
Click Search at the bottom of the parameter list (or press F12).
-
In the Search dialog box that opens, choose Name: Contains.
-
Type in part of the name and click Search.
-
Select one or more names you want to report.
-
Click > Move to move the names to the Selected column.
-
Click < Remove to remove names from the Selected column.
-
Click OK.
-
-
(Optional) Filter for Award Status, Project Status, and Tasks (Include Tasks) using the parameter settings on the UCD Faculty and Department Portfolio Report page.
-
When you are ready to run the report, click Apply.
An output tab appears and displays the progress. When the report is created, the "Report Completed" message appears, and the Excel file containing the report is downloaded to your computer.
Note: If an error message about string concatenation appears, it is because you selected too many parameters. Oracle permits only 4 KB values (approximately 10 to 15 characters) in the search. To work around the limitation, try extracting all the values and filter them in Microsoft Excel.
Scheduling the Report to Run at Regular Intervals
You can schedule a report to run at regular intervals, thus automating the process and ensuring that updated report data is available regularly. With automated reporting, the reports (Excel files) are emailed to specified recipients.
-
On the UCD Faculty and Department Portfolio Report page, click
(Actions) and choose Schedule.
The Schedule Report Job page opens.
-
On the General tab, select the search Parameters (for example, faculty member's name or project manager's name).
-
On the Output tab:
-
Select Make Output Public and Save Data for Republishing.
-
In the Name column, enter something that will be meaningful for the recipient (for example, "Dr. Mark Ferguson's PPM Portfolio Report".
-
For the remaining columns, use the default values.
-
In the Destination section, choose Destination Type: Email, and click Add Destination. Additional fields appear.
-
In the To and Cc fields, enter one or more recipient email addresses. Use a comma between email addresses.
-
Enter the Subject line of the email message.
-
In the Message box, type the information you want to send to the recipients.
-
If you want to send a different message to different recipients, click Add Destination again. A second Email section appears. Complete the fields.
-
-
-
On the Schedule tab:
-
Choose the Frequency of the reporting: Hourly, Daily, Weekly, Monthly, or Annually. Depending on the Frequency choice, different interval fields appear.
-
Specify the intervals.
-
-
On the Notification tab, if you want to be notified each time the report is run, enter your Email Address and select When you want to be notified.
-
Click Submit.
When prompted, enter a Report Job Name. Entering a meaningful job name helps to identify the content and purpose of the report. The report will now automatically run on the frequency that you have set up.
Deleting, Pausing and Resuming, and Editing Scheduled Reports
You can delete, pause and resume, and edit scheduled reports.
-
On the UCD Faculty and Department Portfolio Report page, click Home.
-
On the Oracle Transactional Business Intelligence home page that appears, click Report Jobs.
-
On the Manage Report Jobs page that appears, select the report in the Report Jobs list, and:
-
Click ✖ (Delete) to delete the report job.
- Click ⏸ (Pause) to pause the report job.
-
Click ⏯ (Resume) to resume the paused report job.
-
Click
(Edit) to edit the schedule parameters. See Scheduling the Report to Run at Regular Intervals.
-
Reviewing the History of Reports Generated
To view the history of reports generated:
-
On the Oracle Transactional Business Intelligence home page, click Report Job History.
The Report Job History page opens.
-
Click the Report Job Name.
The details of the selected report job display.
-
Review the report job information. To view (download) the report that was generated by the job, click the name in the Output Name column.
Viewing the Portfolio Report
Note: The images shown in this section might differ slightly from the actual reports.
To view a report:
Open the Excel file that was generated in Running the Report on Demand or Scheduling the Report to Run at Regular Intervals.
This section describes the report contents. Some columns in the report are applicable to all project types. Some columns are specific to Internal Projects and others are specific to Sponsored Projects.
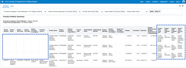
Internal Projects
See the sections enclosed by blue dashed lines in the screen below.
-
Internal Projects are displayed at the top of the report, above Sponsored Projects.
-
The award and funding source columns on the left of the report will be empty, since there is not an award associated with Internal Projects.
-
The CoA attributes associated to each task are listed in the last 4 right right-hand columns. This allows the viewer to ensure that CoA values are assigned for each task. A specific value must be selected for Fund and Purpose; default values or specific values are allowed in the Program and Activity fields. If any of these columns are empty, or if Fund or Purpose are assigned the default values, go to the “Adding and Managing Tasks for PPM Non-Sponsored Projects” step-by-step guide to make corrections.
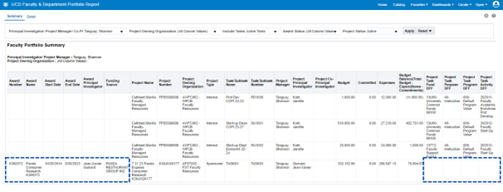
Sponsored Projects
See the sections enclosed by blue dashed lines in the screen below.
A sponsored project includes the following fields, specifically related to the Sponsored Award:
- Award Number
- Award Name
- Award Start Date
- Award End Date
- Award PI
- Funding Source
Notice that for sponsored awards, the Task, Purpose, Program and Activity DFFs are not displayed. That is because these attributes are not tied to the Task on Sponsored Projects. Instead, they are derived from information that is entered when the award is initially set up.
All Projects
The following description applies to all projects:
-
You can view the budget, committed, expenses and budget balance for each task row.
-
The budget comes from the current baseline version of the project budget.
-
The committed, equivalent to encumbrances, represents task activity that has been committed in Oracle, but not yet posted. This include purchase orders, but does not include salary and benefits commitments.
-
The expenses column represents actual costs that have posted to the project, including salaries and benefits, boundary application transactions and Oracle procurement transactions.
-
The budget balance column is the Budget minus Commitments minus Expenses.
Summary Tab and Detail Tab
The Excel report file contains two tabs:
-
Summary tab: Shows the default view for the Faculty and Department Portfolio report and summarizes budget and costs by task.
-
Detail tab: Shows the budget and costs by task and is further broken down by expense category. Use the Detail tab to identify where funds have been spent on this project (for example, salaries and benefits, supplies, travel, equipment, and so on).
Related Articles
- Logging in to Aggie Enterprise
- Navigating to PPM Projects (sponsored and non-Sponsored)
- Requesting Non-sponsored PPM Faculty or Department Projects
- Adding and Managing Tasks for PPM Non-sponsored Projects
- Creating and Maintaining the Budget (Spending Authority) for a PPM Non-sponsored project
- Adding a Principal Investigator (PI) and/or Managing Project Manager roles on a PPM Non-sponsored project
- Closing tasks on a Non-sponsored PPM project
- View Summary and Detailed Costs for an Individual Sponsored and Non-Sponsored PPM Projects